Derek Binns
@arnoldtortoise.bsky.social
1K followers 120 following 660 posts
Amateur naturalist - parasitic wasps (and other tiny insects) specialising in UK Trichogrammatidae and Mymaridae. All posts are my own finds, and all are found in Sussex (unless otherwise stated). Born at 317.68ppm.
Posts Media Videos Starter Packs
arnoldtortoise.bsky.social
Uneven lighting on a very shiny black surface!
arnoldtortoise.bsky.social
Same old set up. This family of wasps are considerably larger than my usual microscopic Trichogrammatids, and hence image clarity is better. The camera's got more to get hold of!
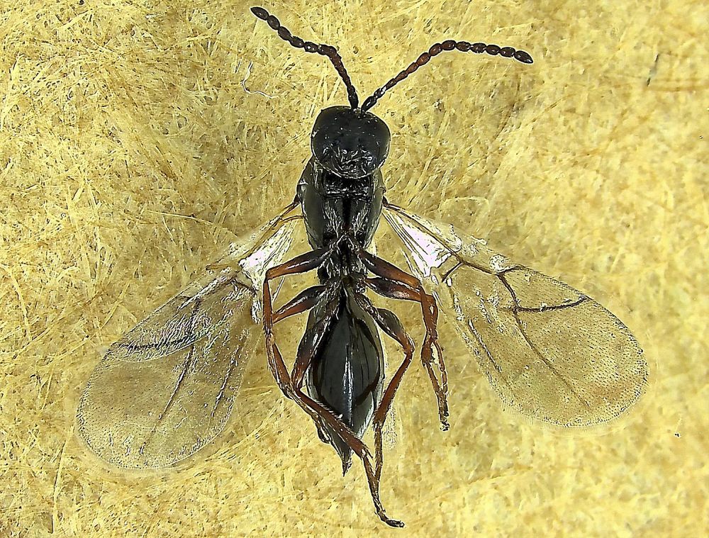
arnoldtortoise.bsky.social
A handsome male Trybliographa gracilicornis wasp of the Eucoilidae, Figitidae found under pine trees in Brede High Woods.

#UKWildlife #wasps #Figitidae #Eucoilidae #HighWeald
side view of a shiny black wasp with orange legs
arnoldtortoise.bsky.social
A beautiful female Encarsia citrina wasp of the Aphelinidae found under pines in Brede High Woods this morning.

#UKWildlife #wasps #Aphelinidae #HighWeald
a tiny wasp with a yellow head that has a red spot at the top, a yellow-buff thorax, and banded brown and yellow abdomen. Its fringed wings are outstretched either side of the body, and they are partially shaded toward their middles.
arnoldtortoise.bsky.social
How have we come to a time when such a law is necessary? Surely telling the truth ought to be the norm in the cases that brought this to the fore. I was thinking more specifically of politicians. They will always seek to make an impression, but outright lies have become the lingua franca of some.
arnoldtortoise.bsky.social
it was a really good episode. To have the delicious dulcet tones of Nelson accompanying Brian and yourself was a treat. I still miss Nelson and Marjorie Antrobus, and I'm not sure how they'd fit in today so it's just as well we've got others to invest in. #TheArchers
arnoldtortoise.bsky.social
After the storm ...

#UKWildlife #Slugs #ArionRufus
A dark brown Slug with large longitudinal tubercles on its body, an orange and black striped line where it meets the ground, and a black head with horn-like stalks facing to the right of picture. It is seen on a grey mottled paving slab.
arnoldtortoise.bsky.social
And the ketchup should be in a squeezy tomato as you'd find in a decent greasy spoon.
#TheArchers
arnoldtortoise.bsky.social
Cracking shot, you've got so much depth of field. Have you looked at corncockle seeds?
arnoldtortoise.bsky.social
This is a beautiful piece of work. Fleas are fascinating when closely observed.
arnoldtortoise.bsky.social
A larger than normal female Anaphes fuscipennis parasitoid wasp of the Mymaridae found under pine trees in Brede High Woods earlier this year.

#UKWildlife #wasps #Mymaridae #HighWeald
side view of a tiny wasp, its head and antennae are to the left of picture, narrow wings are held at an angle above body
arnoldtortoise.bsky.social
This is confirmation that bullies should not be given power.
arnoldtortoise.bsky.social
I find a cylinder of tracing paper quite good most of the time.
arnoldtortoise.bsky.social
The eternal obsession when photographing macro insects. Trying to get well lit detail without any flare is nigh on impossible. Shiny black micro wasps with dense white hairs is always a compromise!
arnoldtortoise.bsky.social
A Juniper Shieldbug (Cyphostethus tristriatus) and a Parent Bug (Elasmucha grisea) seen together on a leaf of the garden birch tree this afternoon. The Parent Bug has two Tachinid eggs on its scutellum which is bad news for the Parent Bug.

#UKWildlife #Shieldbug #Hemiptera
A pale green birch leaf with two shieldbugs on it. The bug upper left is bright green and has two boomerang shaped chestnut brown stripes on its back. The bug lower right is predominantly chestnut brown and has two small white spots on its back that are fly eggs.
arnoldtortoise.bsky.social
Yes, she'd tell him to sell Home Farm and enjoy the benefits of being retired and wealthy in the few years he has left. #TheArchers
arnoldtortoise.bsky.social
This is priceless! When we find examples of the rigid conformity with which Victorians lived their lives, we can't help but wonder how they would feel about today.
arnoldtortoise.bsky.social
A moment of calm in this overwhelming world.
Pink flowers of Cyclamen with reflexed petals atop red stems. The one on the left has yet to unfurl and is showing how the petals wrap around each other in bud.
arnoldtortoise.bsky.social
This will be useful. Have been using the Kozlov key with mixed results.
arnoldtortoise.bsky.social
Thank you! That is really helpful.
arnoldtortoise.bsky.social
@parasitoidrex.bsky.social Can you help please? Can't decide between Synopeas and Leptacis. Have got thoroughly confused. Found in mixed woodland in Sussex this morning.
arnoldtortoise.bsky.social
A female Alaptus pallidicornis wasp of the Mymaridae found in the garden birch tree this morning.

#UKWildlife #wasps #Mymaridae
tiny wasp with narrow, fringed wings held aloft, head and antennae are to the left
arnoldtortoise.bsky.social
A beautiful female Trybliographa rapae wasp of the Figitidae, Eucoilidae, found this morning in the old meadow at Great Dixter.

#UKWildlife #wasps #Figitidae #Eucoilidae #HighWeald
Looking down on a black wasp that is facing to the right, it has a shiny black body with buff coloured dense hair covering the join between thorax and abdomen Side view of a shiny black wasp that is facing to the right view from below of a shiny black wasp with its wings outstretched, head is at the top of picture
arnoldtortoise.bsky.social
Perhaps Brian and Justin had been furtively snarphing them before the church service?
#TheArchers
arnoldtortoise.bsky.social
Not if you marinade them in Sunny Delight ...
#TheArchers