Kurtis M.
banner
stormorknot.bsky.social
Kurtis M.
@stormorknot.bsky.social
910 followers 1.3K following 290 posts
Meteorologist | Catastrophe Modeler | Skywarn Spotter | Data wrangler | Inquisitive | Views are my own He/him 🏠Boston
Posts Media Videos Starter Packs
Pinned
Hello world!
I’m a meteorologist who works in catastrophe modeling and lives in Boston. Hopefully I can find other people who want to chat about the weather or data science. R is my primary programming language.
Reposted by Kurtis M.
The Sentinel-2 satellite captured this view into category 5 hurricane #Melissa's eye just before landfall today... what a shot!
To understand the climate connection to Hurricane Melissa, check out our real-time attribution page at @climatecentral.org: www.climatecentral.org/tropical-cyc...

"Climate change made the ocean temperatures along Melissa's path 500 to 900 times more likely."
Reposted by Kurtis M.
Reposted by Kurtis M.
Video shows major flooding along Santa Cruz Bypass in St. Elizabeth, Jamaica from Hurricane Melissa.
Reposted by Kurtis M.
BREAKING: Medical facilities in Black River, Jamaica destroyed following Hurricane Melissa, senator says. - NBC
NEW: Terrifying video from the town of Black River in Jamaica.

The worst of storm surges - 200mph winds literally blowing the sea onto the land. #HurricaneMelissa

(📸 Yung Senshi)
Reposted by Kurtis M.
AUDIO: Listen to the roar of powerful winds pounding Treasure Beach, Jamaica as Hurricane Melissa approaches Caribbean island.
#Melissa continues to intensify as it makes landfall. This is a terrible scenario for #Jamaica

#wxSky #HurricaneMelissa
“Total structural failure is possible near the path of #Melissa’s center.”

185 mph winds, 892 mb central pressure - ranking top 5 strongest hurricanes ever in the Atlantic basin, but the most heartbreaking part…we are just hours away from landfall 😢💔
Reposted by Kurtis M.
Hurricane Melissa will make landfall in Jamaica in a few hours as one of the two strongest hurricanes ever to make landfall anywhere in the Atlantic Basin -- on par with the 1935 Labor Day hurricane in south Florida.

Just horrific. The stuff of nightmares.
This is frightening
#Melissa #wxsky
This meso loop of #Melissa from CIRA is absolutely stunning at it makes its closes in on landfall in southwestern Jamaica.

rammb-data.cira.colostate.edu/tc_realtime/...

#hurricanemelissa
Reposted by Kurtis M.
October 28 9:00am ET: #Melissa is now a 180 mph storm with a central pressure down to 896 millibars.

Only 5 other known Atlantic storms have had stronger wind speeds (Allen, Dorian, Wilma, Gilbert, Labor Day (1935)).

2024 & 2025: First back-to-back years with <900mb Atlantic hurricanes on record.
Reposted by Kurtis M.
With a central pressure down to 896mb as of 9am EDT, #Melissa has joined the elite sub-900mb group of Atlantic hurricanes... it is now one of just seven:

Wilma 2005: 882mb
Gilbert 1988: 888mb
Labor Day 1935: 892mb
Rita 2005: 895mb
Milton 2024: 895mb
Melissa 2025: 896mb
Allen 1980: 899mb
This is jaw dropping
#Melissa #wxSky
A US Air Force plane flew inside Hurricane Melissa on Monday over the Caribbean, revealing a rare weather phenomenon known as the ‘stadium effect’.

Forecasters say the Category 5 storm is set to be Jamaica’s most destructive on record and is expected to make landfall on Tuesday.
Reposted by Kurtis M.
The western end of Jamaica where #Melissa is projected to make landfall has the least well-built structures of anyplace on the island. Graphic is from a 2021 paper, "Poverty and hurricane risk exposure in Jamaica": www.researchgate.net/publication/...
Reposted by Kurtis M.
What we're witnessing with #Melissa is ultra rare in the history of known hurricanes in the Atlantic. This level of sustained intensity and feasting on every joule of ocean heat content without any real disruption is incredible.

Not hyperbole: Jamaica is facing a generational catastrophic event.
Reposted by Kurtis M.
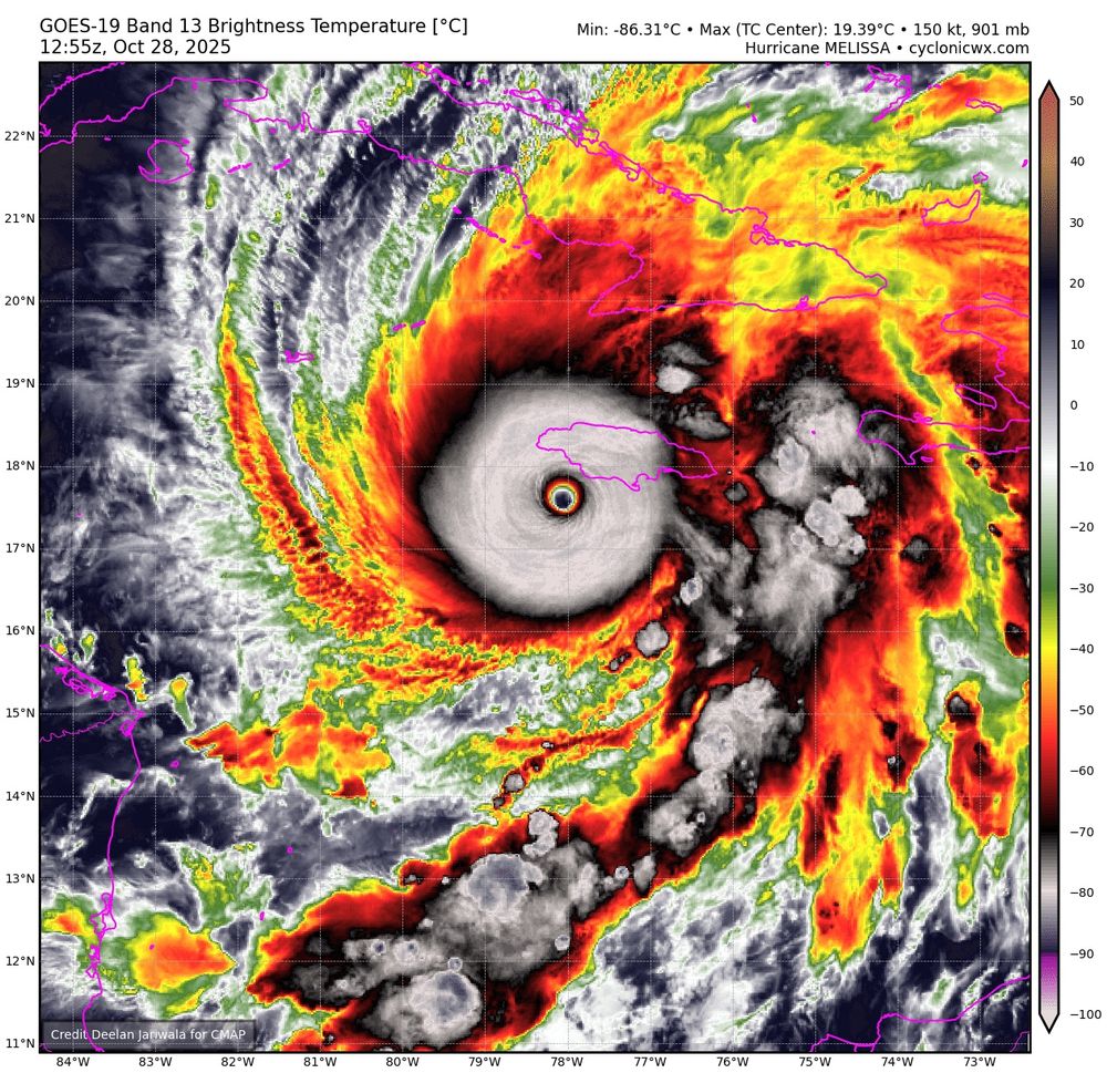
#HurricaneMelissa is a buzzsaw of a storm this morning. Pressure still dropping. 901mb. Only six Atlantic hurricanes have reached barometric pressure in the 800s. The record for lowest pressure is Wilma (2005) - 882mb. Landfall expected in #Jamaica later today. #wx
I’m surprised Melissa keeps intensifying. Normally, I would expect an eyeball replacement cycle to start at some point. Though it doesn’t want to and just keeps getting bigger and raising the ceiling for what I thought was a worse case scenario for Jamaica.
Reposted by Kurtis M.
11PM: Melissa a little stronger. Pressure has dropped to 903 mb, making it the 9th strongest storm on record in the Atlantic. The winds may still increase slightly overnight due to pressure drop.
Gusts are now up to 215 mph.
#melissa #hurricane #jamaica
Ugh, the other site, I was curious if I was missing anything and popped back in for a second. It was a great reminder to stay here.